パラオの旅情報

クラムシティー 〜 世界一の透明度!パラオ・ロックアイランドの海でシュノーケリング!!これぞ楽園!! [2017年パラオ旅行記 その29]

パラオの旅情報
スポンサーリンク

いよいよパラオのサウスロックアイランドでシュノーケリング!!

旅の一つ前の記事はこちら

ミルキーウェイ 〜 エメラルドグリーンの海に沈む真っ白な泥を全身に塗るのだ!サウスロックアイランドツアーがスタート!! [2017年パラオ旅行記 その28]
サウス ロックアイランド ツアー編、まず我々が向かったのはミルキーウェイ。旅の一つ前の記事はこちら2017年パラオ旅行記 目次2017年11月のパラオ旅行記、4日目。コロール島のImpac社の事務所前の桟橋を出発した我々が最初に向かったのは...

2017年パラオ旅行記 目次

2017年パラオ旅行記

2017年11月〜12月にミクロネシアのパラオ共和国を旅したときの旅行記です。

リゾート情報、観光情報、グルメガイドなどが盛り沢山です。

古い記事が下、新しい記事が上に表示されていますので、時系列順に読むなら下から行くのがベスト。

2017年11月のパラオ旅行記、4日目。

インパック社のサウスロックアイランドツアーに参加中。

ミルキーウェイで全身真っ白な泥だらけになったあとは、一回目のシュノーケリングポイント、「クラムシティー」に向かう。

「クラム」とは、シャコ貝のことで、南洋パラオには、ビックリするほど巨大なシャコ貝が生息しているのだ。

写真中心で、さっそく紹介しよう。

スポンサーリンク

クラムシティー 〜 世界一の透明度!パラオ・ロックアイランドの海でシュノーケリング!!これぞ楽園!! [2017年パラオ旅行記 その29]

▲ 我々を乗せたインパック社の高速ボートはミルキーウェイを出発。

 

▲ ミルキーウェイを出ると、海の色が深い青に変わる。

 

▲ 近くを走る、別の高速艇としばらく並走。

 

▲ 深い青の海に、明るいエメラルドグリーンの帯が見える。

珊瑚礁だ。

 

▲ ボートが止まり、ボートからのシュノーケリングの準備完了。

 

▲ ライフベストなしで飛び込んでみた。

11年前は太っていて、体力にまったく自信がなかったため、ライフベストなしで泳ぐなんて、想像すらできなかった。

 

▲ そして海の中へ。

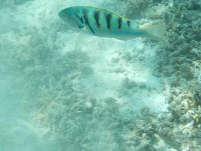
魚にエサをやって集めることが禁止されてしまったため、昔のように、魚がどっと集まってくる写真は撮れないが、それでもやはり美しい。

 

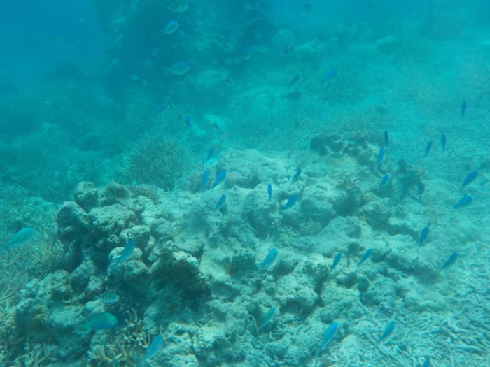
▲ 世界一の透明度を誇るパラオの海。本当に美しい。

 

▲ 水深が深くなると上手く写真が撮れない。

フラッシュを使うべきだったかな?

 

▲ 海底に転がっているのが、巨大なシャコ貝。

良く見ると、裂け目が開いたり閉まったりして、呼吸しているのが分かるのだが、軽く怖い。

 

▲ 上手な人はぐいぐい潜っていく。

 

▲ 20分ほどのシュノーケリング。

ライフベストなしだったのでちょっと疲れたが、その分ダイナミックで楽しかった。

まとめ

念願のロックアイランドでのシュノーケリング。

やはり最高だった。

エサをやれなくなったため、人間に向かって魚が集まってくることはなくなってしまったが、それでもやはり凄いインパクトだ。

このあとはロングビーチに向かうが、もう一回シュノーケリングがあるそうで、とても楽しみだ。

Impac社のサウスロックアイランドツアー情報はこちら!

ページが見つかりませんでした | インパック

旅の続きの記事はこちら!

ただいま準備中♪

2017年11月 パラオ旅行記 目次

2017年パラオ旅行記

2017年11月〜12月にミクロネシアのパラオ共和国を旅したときの旅行記です。

リゾート情報、観光情報、グルメガイドなどが盛り沢山です。

古い記事が下、新しい記事が上に表示されていますので、時系列順に読むなら下から行くのがベスト。

パラオについてもっと知りたい人が読む本

パラオ旅行記の記事はこちらにも!もう1記事いかがですか?

ついに来た!パラオ・パシフィック・リゾートで見る黄金の夕暮れ!低い位置の雲が取れずちょっと残念!! [2017年パラオ旅行記 その24]
2017年11月のパラオ旅行記、3日目の夕方。旅の一つ前の記事はこちら2017年パラオ旅行記 目次一日ずっとプライベートビーチで過ごしたパラオ3日目。夕暮れ時が近づき、海に沈む夕陽に期待が高まる。
MESEKIU Waterhole Bar(メセキュウ ウォーターホールバー)〜 PPRのビーチサイドバーでパラオ3日目を〆る!! [2017年パラオ旅行記 その26]
2017年11月のパラオ旅行記、3日目もあっという間に終わろうとしている。旅の一つ前の記事はこちら2017年パラオ旅行記 目次コロールのタイ料理店での食事を終え、BBIバスでPPRへと戻ってきた我々。もうちょっとだけ飲んでから眠ろうか、とい...
MESEKIU Waterhole Bar(メセキュウ ウォーターホールバー)〜 PPRのビーチサイドバーでパラオ3日目を〆る!! [2017年パラオ旅行記 その26]
2017年11月のパラオ旅行記、3日目もあっという間に終わろうとしている。旅の一つ前の記事はこちら2017年パラオ旅行記 目次コロールのタイ料理店での食事を終え、BBIバスでPPRへと戻ってきた我々。もうちょっとだけ飲んでから眠ろうか、とい...
パラオ4日目は待望の超快晴!オプショナルツアーの一日に期待が膨らむ早朝ラン!! [2017年パラオ旅行記 その27]
ついに待望の超快晴の朝がやってきた。旅の一つ前の記事はこちら2017年パラオ旅行記 目次2017年11月のパラオ旅行記、4日目の朝。今回のパラオ滞在は、初日は曇りとスコール混じりのお天気から始まり、じわじわと天候が良くなってきていた。そして...
Impac社の「サウス ロックアイランド ツアー」に出発! 快晴の空の下 期待膨らむ出発編!! [2017年パラオ旅行記 その27]
いよいよ今回の旅のハイライト、Impac社のサザン ロックアイランドツアーに参加する日がやってきた。旅の一つ前の記事はこちら2017年パラオ旅行記 目次2017年11月のパラオ旅行記、4日目の朝。パラオに来たら、必ずオプショナルツアーに申し...

 

タイトルとURLをコピーしました